親子で取り組む予防歯科
歯周病は知らないうちに歯ぐきの骨がなくなる恐ろしい病気です
歯周病は、慢性疾患です。
日本人の35歳以上の80%が歯周病に罹患していると言われています。
歯茎が腫れる、歯茎から血や膿(うみ)が出る、歯がグラグラする、等の症状は歯周病です。
重度になると歯が抜け落ちてしまうこともあります。
歯周病は一度かかってしまうと完治は難しく、“継続した治療”が大切となります。
しかし継続した治療を維持することで、大半の歯周病は状態を改善することができます。
口腔内の状態は患者さんによって違います。
お一人おひとりに合った治療プランをご提案いたします。


歯科衛生士による専門治療
歯周病は、プラーク(細菌の塊)が溜まることで進行を招きます。
プラーク(細菌の塊)は次第に、歯石やバイオフィルムという集合体を形成し、
いったん出来てしまった歯石やバイオフィルムは歯磨きだけでは除去できません。
この歯石やバイオフィルムを除去するには、
歯科医院の専門器械を使った施術が必要となります。
超音波スケーラー

超音波振動により歯石のみを砕き取り除きます。
手動スケーラー

名前にもあるように、スケーラーにて手動で丁寧に除去していきます。
超音波スケーラーの効果は抜群ですが、
歯茎の奥や歯並びの複雑な部分では、取りきれない場合があります。
そこで、その部分は、経験を積んだ歯科衛生士の手でじっくりと除去していきます。
PMTC

プロフェッショナル・メカニカル・トゥース・クリーニング(Professional Mechanical Tooth Cleaning)の
頭文字で、歯科医院で専門的に行う、お口のケアプログラムのことです。
細菌は次第にバイオフィルムという集合体を形成し、
いったん出来てしまったバイオフィルムは歯磨きだけでは除去出来ません。
ふだんの歯磨きでは取りきれない歯の着色・汚れを落とし、本来の白く輝く色を取り戻します。
出来てしまったバイオフィルムの除去にも繋がります。
それにより口臭や虫歯、歯周病の予防にも効果があります。
痛みのない歯周病治療

当院ではご希望により、麻酔を利用した歯周病治療を行っております。
スケーリングの際の痛みが気になる方には、麻酔を投与した状態で行うことが可能です。
歯周ポケットの中をじゅうぶんにきれいにしようとすると、痛みが発生する場合があります。
なるべく痛くない治療を提供している当院ならではの取り組みのひとつです。
ご希望の際はお申し出下さい。
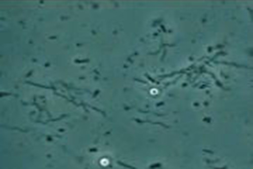
位相差顕微鏡による菌の確認

口腔内にはさまざまな細菌が存在しています。
歯周内科治療は位相差顕微鏡を用いて原因菌を調べることから始めます。
歯周病は感染症ですから、原因を突き止めることができれば、より適切な対処ができます。
カンジダ・アルビカンス
トレポネーマ(スピロヘータ)
この他にもお口の中にはたくさんの菌が存在し、その種類は400種類を超えると言われています。
歯周病から歯を守る
治療が終了しても、その後また歯周病が再発してしまっては意味がありません。
治療した歯や歯茎の状態を点検(メンテナンス)し、
お口全体のクリーニングを行って歯周病になりにくい口腔環境を作っていきます。
国家資格を持った「歯」を知りつくした専門の歯科衛生士が、
あなたのお口の健康状態をチェックしたうえで、
適切に治療処置を行いますので安心してお任せ下さい。


| 診療時間 | 月 | 火 | 水 | 木 | 金 | 土 | 日 | 祝 |
|---|---|---|---|---|---|---|---|---|
9:00~12:30 |
● |
● |
● |
※ |
● |
● |
/ |
/ |
14:00~18:00 |
● |
● |
● |
※ |
● |
● |
/ |
/ |
|
休診・・・木、日、祝日
※ 祝日のある木曜日は診療しております |
||||||||










